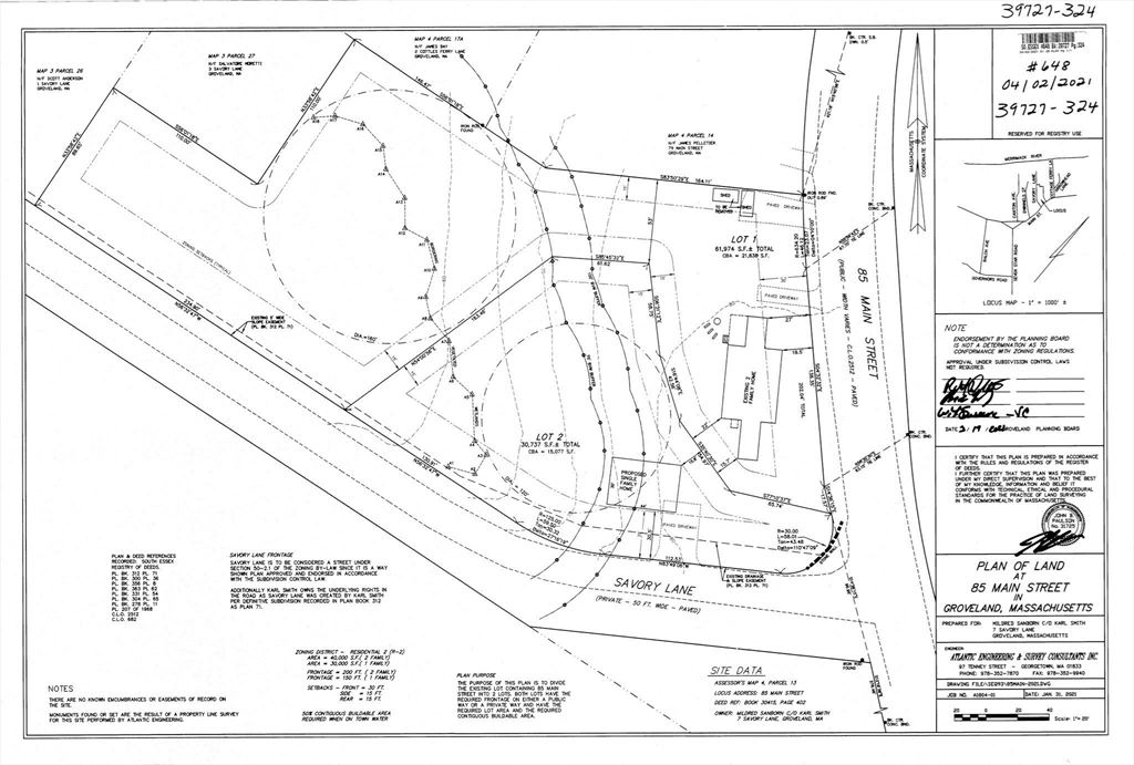
85 Main StreetGroveland, MA 01834
Due to the health concerns created by Coronavirus we are offering personal 1-1 online video walkthough tours where possible.




Approved for single or two-family use, this prime parcel presents an exceptional opportunity for homeowners and investors alike. Public water, sewer, gas and electric are available at the street offering added convenience and ease for development. This 60,723 sq. ft. lot is ideally situated in highly desirable Groveland with an excellent school system and close proximity to local amenities, parks, golf courses and easy access to major routes for commuting. Whether you’re looking to build the single family home of your dreams or perhaps a two-family to secure a strong investment opportunity, this property offers flexibility, location, and outstanding potential. Start your project this spring and be in this year!
| 14 hours ago | Listing updated with changes from the MLS® | |
| 14 hours ago | Listing first seen on site |
The property listing data and information, or the Images, set forth herein were provided to MLS Property Information Network, Inc. from third party sources, including sellers, lessors, landlords, and public records, and were compiled by MLS Property Information Network, Inc. The property listing data and information, and the Images, are for the personal, non-commercial use of consumers having a good faith interest in purchasing, leasing or renting listed properties of the type displayed to them and may not be used for any purpose other than to identify prospective properties which such consumers may have a good faith interest in purchasing, leasing or renting. MLS Property Information Network, Inc. and its subscribers disclaim any and all representations and warranties as to the accuracy of the property listing data and information, or as to the accuracy of any of the Images, set forth herein.
Last checked 2026-02-27 02:03 PM UTC

Did you know? You can invite friends and family to your search. They can join your search, rate and discuss listings with you.