0 Station RdBarre, MA 01005
Due to the health concerns created by Coronavirus we are offering personal 1-1 online video walkthough tours where possible.


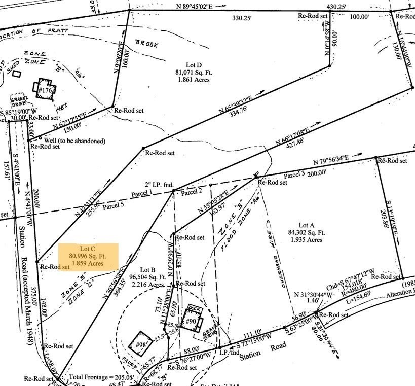
Barre offers a quiet country setting with access to Worcester and surrounding towns, making it an appealing location for future development or long-term investment. The town combines a rural-suburban feel with extensive woodlands and a well-known historic Town Common that anchors the community.This 1.85-acre parcel sits on a private, secluded dead-end road with open space directly across the street—ideal for those seeking privacy or a potential build site away from through-traffic. Buyers are encouraged to conduct their own due diligence with the Town of Barre regarding buildability, utility access, zoning, and permitted uses.
| a month ago | Listing updated with changes from the MLS® | |
| 2 months ago | Listing first seen on site |
The property listing data and information, or the Images, set forth herein were provided to MLS Property Information Network, Inc. from third party sources, including sellers, lessors, landlords, and public records, and were compiled by MLS Property Information Network, Inc. The property listing data and information, and the Images, are for the personal, non-commercial use of consumers having a good faith interest in purchasing, leasing or renting listed properties of the type displayed to them and may not be used for any purpose other than to identify prospective properties which such consumers may have a good faith interest in purchasing, leasing or renting. MLS Property Information Network, Inc. and its subscribers disclaim any and all representations and warranties as to the accuracy of the property listing data and information, or as to the accuracy of any of the Images, set forth herein.
Last checked 2026-04-08 08:39 AM UTC
